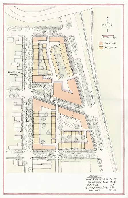
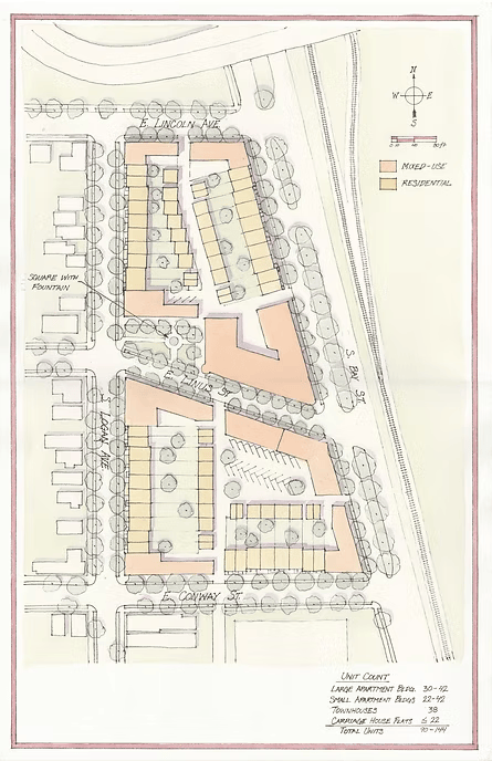
Dense Neighborhoods Enrich the Suburbs
In this Sunday sketch, Grenfell Architecture weaves walkable housing and open space into an existing community.
This design by Grenfell Architecture shows a mixed-use community of over 100 housing units proposed for the Bay View neighborhood of Milwaukee, Wisconsin.
See more of Grenfell’s designs here.




