Raleigh's Process Overcomplicates Building Small Homes
Evan Bost leads March 17 Policy Talk on why Raleigh needs a Small Lot Code.

Two of Raleigh’s major UDO text changes, dubbed Missing Middle 1.0 (TC-5-20) and Missing Middle 2.0 (TC-20-21), were applauded by housing advocates when they passed in the early 2020s. Collectively, these amendments legalized two homes per lot in nearly all residential districts, allowed townhomes in more of the city, eliminated density caps in exchange for lot standards, permitted tiny houses on flag lots, introduced high frequency transit overlay districts, and made several other important reforms.
At face value, Raleigh now has a progressive housing code that should be producing large amounts of incremental housing and generating new homeownership opportunities.
In many ways, that’s exactly what’s happening.
The city tracks this progress through its public Missing Middle metrics dashboard (displayed above). Since the reforms passed, hundreds of homes have been permitted under the updated rules. Duplexes, townhomes, and small multi-unit buildings are appearing in neighborhoods that previously only allowed single-family houses.
This is real progress. It confirms what housing advocates have long argued: When cities legalize more housing types, builders and homeowners respond, increasing the supply of homes for everyone.
Raleigh’s data also reveals an unexpected pattern. Most of the homes being built fit specific development types and site conditions. Townhomes in particular have become a common pathway for adding housing under the new rules, often on sites that were already platted or assembled for development.

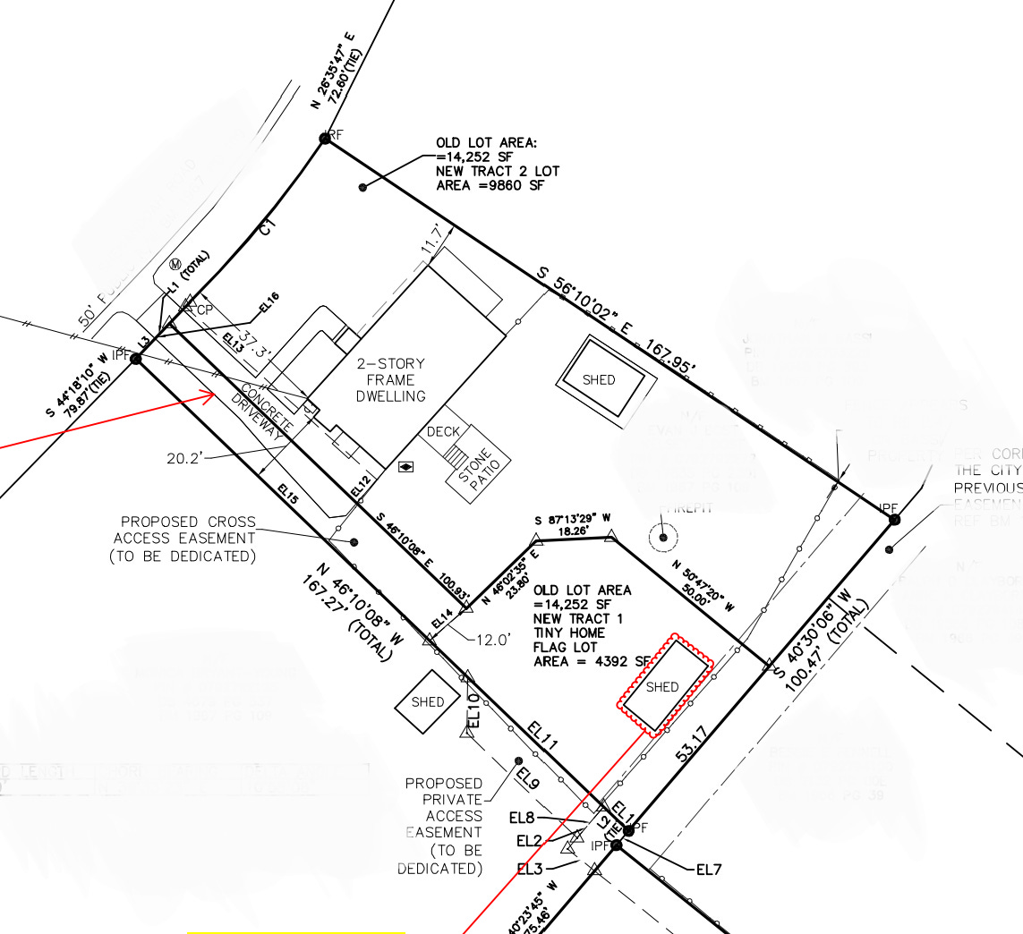
But we’re not seeing much production of the smallest forms of incremental housing: developments where a homeowner splits a large lot in two, creates a flag lot behind an existing house, or adds a small new parcel that allows another home to be built.
Historically, those small projects were a major way that American neighborhoods grew. They also allow many people to participate in building housing, not just large developers working on large sites.
And these small projects are exactly where Raleigh’s process breaks down.
A simple subdivision took 598 days
As a local builder and small developer, I recently went through the process of subdividing my own property. The goal was straightforward: I wanted to split my lot and create a flag lot behind my house. That way, I could build and sell another home in my backyard.
This is exactly the kind of incremental development that housing advocates talk about: an existing homeowner creating one additional home on land that is already served by streets, utilities, and infrastructure.
Organizations like Strong Towns and the Incremental Development Alliance have spent years advocating for this kind of approach. Their argument is a simple one, that cities become stronger and more resilient when many small actors can participate in development, rather than relying entirely on large projects.
This is how many of our most beloved neighborhoods were built. Over decades, lots were subdivided, new homes were added, and neighborhoods evolved gradually as the city grew.
But when I followed Raleigh’s rules to create that second lot, the process took 598 days.
Nearly two years.
For a two-lot subdivision on an existing residential property.
Nothing about that timeline reflects incremental development. A process that slow effectively shuts out the small scale builders and homeowners who are supposed to benefit from Missing Middle reforms. Only large developers with significant capital and professional teams can comfortably absorb that level of delay.
Durham shows a better path
Just down the road, Durham offers a useful comparison.
In the last six months of 2025 alone, Durham approved 168 exempt plats, including 65 flag lot subdivisions. The average review time for those plats was about one month.
That kind of timeline allows homeowners and small builders to realistically participate in housing creation. If someone owns a large lot and wants to split it into two or three smaller ones, the process is manageable and predictable.
It does not take years in Durham. It takes weeks.
Bull City shows that small lot subdivisions can function as a real tool for incremental housing when the rules are clear and the process is efficient.
This is how cities used to grow
Before modern zoning codes and complex subdivision regulations, cities grew gradually through many small actions. Large parcels were divided. Backyards became homes. Duplexes and small apartment buildings filled in gaps. Neighborhoods evolved slowly as demand changed and families made modest investments in their property.

Over time, these incremental additions created the walkable neighborhoods we now consider historic and desirable. Ironically, many of those same idyllic neighborhoods would be impossible to replicate under today’s regulatory systems.
Modern Missing Middle reforms are an attempt to reopen the door to these small and mid-sized housing types. But legalizing housing forms is only part of the work; the process required to build them matters just as much.
Join the conversation
Next week, I’ll be hosting a CITYBUILDER Policy Talk where I’ll discuss my experience navigating Raleigh’s subdivision process. I’ll walk through what worked, what didn’t, and why Raleigh still struggles to support the kind of small scale incremental development that historically built its communities.
Understanding this policy gap is the first step towards fixing it.
If Raleigh wants its Missing Middle reforms to reach their full potential, the city will need to make sure that the people most capable of building incremental housing can actually navigate the system.
Because cities are not built by zoning text alone; they are built by people.
CITYBUILDER Policy Talk
📘 Raleigh’s Need for a Small Lot Code by Evan Bost
📅 Tue Mar 17th 12:00pm - 1:00pm
📍 Online through Google Meet
Come for the ideas. Stay for the people who want to build a Triangle where everyone has a place to live. We’ll see you there.
Evan Bost is a local builder and small developer in Raleigh, North Carolina. He is passionate about resource-conscious building techniques and sustainability initiatives, which he has helped implement during his time as Director of Marketing and Client Relations at Bost Custom Homes.





